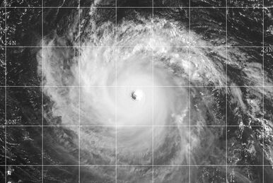
RO-ALERT ne-a speriat degeaba: Furtuna Ashley a fost „apă de ploaie”. Cât de pregătite sunt, totuși, autoritățile din România pentru urgențe?

- DSU propune platforma FiiPregătit pentru situații de urgență
- Platforma FiiPregătit lansează 32 de ghiduri pentru orice fel de catastrofă
- RO-ALERT creează confuzie prin diferența dintre avertizare și realitate
- Peste 5000 de români au fost evacuați din cauza furtunii Ashley
- Jumătatea vestică a țării rămâne sub cod galben de ploi și astăzi
A fost mai mare sperietura? RO-ALERT te avertizează că urmează inundații, dar când te uiți pe geam, vezi o simplă ploaie de toamnă. Nu e prima dată când sistemul de alertă generează confuzie.
În contextul ultimelor situații de urgență, autoritățile au fost fie nepregătite, fie ultra precaute.
De data aceasta, situația nu a fost atât de grava pe cât se așteptau autoritățile de la noi care au spus că furtuna Ashley ar putea să fie mai devastatoare decât ciclonul Boris care a inundat peste 5000 de case și a omorât 7 oameni.
Totuși, jumătatea vestică a țării rămâne sub cod galben de ploi până mâine dimineață la ora 10.
Despre situații de urgență și cât de pregătită este România să se confrunte cu ele, a vorbit Octavian Berceanu, specialist de mediu, la Aleph News:
Cât de pregătită este România pentru situații de urgență?
„Autoritățile din România și noi ca populație suntem foarte pregătiți pentru situații de normalitate. Când nu intervine nimic, noi suntem extrem de pregătiți.
Însă, dacă ne uităm pe istoria ultimilor 50 de ani în România, există diferite tipuri și situații care au dus la foarte multe dezastre materiale și pierderi de vieți omenești.
Hai să începem cu câteva exemple. O alunecare de teren, de exemplu. Am fost martor la o alunecare de teren și am mers pe teren pe Valea Trotușului, unde un munte, din vârful muntelui, a alunecat 2 km la vale, foarte aproape să radă niște case în cale și să oprească cursul râului Trotuș.
Am aflat pe teren, unde erau echipajele de la ISU, echipajele de la pompieri și jandarmerie, unde erau autoritățile locale, că nici măcar nu cartaseră acea alunecare de teren. Existau alte 5 locații pe care le-am identificat, mergând cu echipă de voluntari pe teren, de unde putea să curgă la vale foarte, foarte mult pământ. Este un exemplu clasic că autoritățile nu sunt capabile și nu au făcut exercițiul ăsta.
Dacă mergem mai departe la situațiile catastrofale care au avut loc în România în anii ’70, de exemplu, vorbim de niște debite provenite de la ploi cu 300 de litri pe zi, care au transformat, de exemplu, Someșul într-un fel de Dunăre, având aproape același volum. De atunci și până acum nu s-au schimbat lucrurile foarte mult, nici pe Someș. Încă avem case construite în zona inundabilă, avem școli în zona inundabilă, și aceste lucruri se întâmplă cu foarte multe cursuri de râuri mari din România.
Dacă ne referim la ceea ce înseamnă a fi pregătiți în cazul unui cutremur, iarăși avem mari probleme. Eu personal nu am participat niciodată la un exercițiu privind ce ar trebui să facem după un cutremur catastrofal, un cutremur de 7,7 pe Richter”.
Sunt utile platforme ca Ro-Alert și FiiPregătit?
„Am postat chiar în weekend, dacă-mi aduc aminte bine, în weekendul acesta, în care RO-ALERT spunea că avem un incendiu de vegetație la marginea Bucureștiului și era un incendiu de deșeuri, extrem de nociv. Orice om care primește RO-ALERT pentru un incendiu de vegetație zice că au ars niște paie pe câmp, au ars ceva vegetație undeva…NU, erau deșeuri de plastic, cabluri care ardeau, și care sunt de 4.000 de ori mai periculoase decât lemnul sau paiele arse. Deci până și acest RO-ALERT induce cetățeanul în eroare și ultimul exemplu îl avem chiar ieri de la RO-ALERT pentru ploaie scurtă de toamnă.
Aplicațiile în sine sunt utile, dar sunt folosite de niște oameni care nu sunt specialiști. Trebuie să avem niște specialiști, nu niște decidenți politici care să zică ei de la guvern „Eu sunt șeful, DSU, sau eu sunt premierul României sau ministrul, dați RO-ALERT”…Nu poate așa nicăieri în lume! Trebuie să ai niște specialiști, trebuie să ai Inteligență Artificială care să-ți facă scenarii, să vadă ce se poate întâmpla și Inteligența Artificială să te ajute să dai RO-ALERT și să avertizezi o anumită categorie de populații sau populația dintr-o zonă. Nu se întâmplă așa ceva în România”.
Care e situația în Galați?
„Viitura de pe Dunăre a căzut substanțială. Dar în locul viiturii, sau în locul unde ar fi trebuit să vină viitura, avem niște gărdulețe iarăși de sac și de nisip. Aceeași saci de nisip pe care i-au folosit și egiptenii acum 4.500 de ani. Trebuie să depășim lucrurile astea cu nisip.
Există alte modalități, niște garduri care se amplasează foarte ușor și care nu mai permit trecerea apăi. Sacii de nisip nu mai sunt o soluție de mulți ani de zile. Plus că noi trebuie să avem altceva în cap. Prevenția. Cum facem prevenția în astfel de incidente? Cum nu mai dăm autorizații în zona inundabilă? Degeaba ne ducem să încercuim o casă cu 80-100 de saci de nisip. Nu ne ajută cu absolut nimic dacă noi construim în zona inundabilă”, a declarat Octavian Berceanu, specialist de mediu, la Aleph News.