Sari la continut

Tag: uraganul Melissa

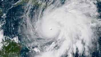
Uraganul Melissa a provocat distrugeri majore în Caraibe, în special în Jamaica și Haiti. Zeci de persoane și-au pierdut viața
Meteo
Uraganul Melissa a lovit Jamaica cu 280 km/h și Cuba cu 193 km/h. Guvernul a evacuat preventiv mii de locuitori din zonele vulnerabile
Meteo