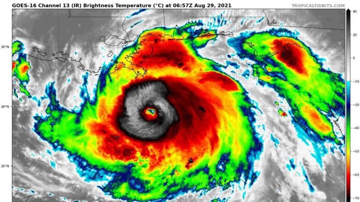
- Uraganul Ida a devenit o furtună de categoria 4 duminică devreme, intensificându-se rapid până la vânturi de peste 240 kmh, potrivit Centrului Național pentru Uragane, citat de CNN.
- Uraganul a crescut rapid în intensitate de când a lovit Cuba, vineri, amenințând că va fi un „uragan major extrem de periculos” atunci când va ajunge pe coasta Louisianei, duminică după-amiază.
Zonele exterioare ale furtunii afectează deja sud-estul Louisianei, inclusiv New Orleans. O stație meteo de lângă Southwest Pass, Louisiana, a raportat recent o rafală de vânt de până la 170 kmh, a anunțat National Hurricane Center.
Avertizarea de uragan rămâne în vigoare de la Intracoastal City, Louisiana, până la gura râului Pearl și include Lake Pontchartrain, Lake Maurepas și New Orleans.
I feel sick to my stomach watching this #hurricane. #Ida’s eye is clearing out, and the rapid intensification continues. At this point be ready for the one of the strongest to ever make landfall in #Louisiana. This is a very sobering morning… godspeed pic.twitter.com/V2laRRdR8p
Un avertizare de tornadă este în vigoare până la ora 20:00 ET pentru anumite zone din Alabama, Florida, Louisiana și Mississippi, potrivit Storm Prediction Center.
Există, de asemenea, pericol de inundații și furtună în zone de-a lungul coastelor Louisiana, Mississippi și Alabama.
Dacă Ida va ajunge în Louisiana, conform previziunilor, ar fi al patrulea uragan care a lovit statul din august anul trecut și al treilea mare uragan din Louisiana în acest interval de timp.
BREAKING UPDATE: Hurricane Ida now a Cat 4 storm with 150 mph winds. https://t.co/t21tw46PLf
— NBC News (@NBCNews) August 29, 2021
• Currently 50 miles from Louisiana coast
• NHC: „Catastrophic wind damage is likely”
• „Extremely life-threatening storm surge” of 9+ feet „is imminent,” NHC says pic.twitter.com/i4TGKNY5cZ